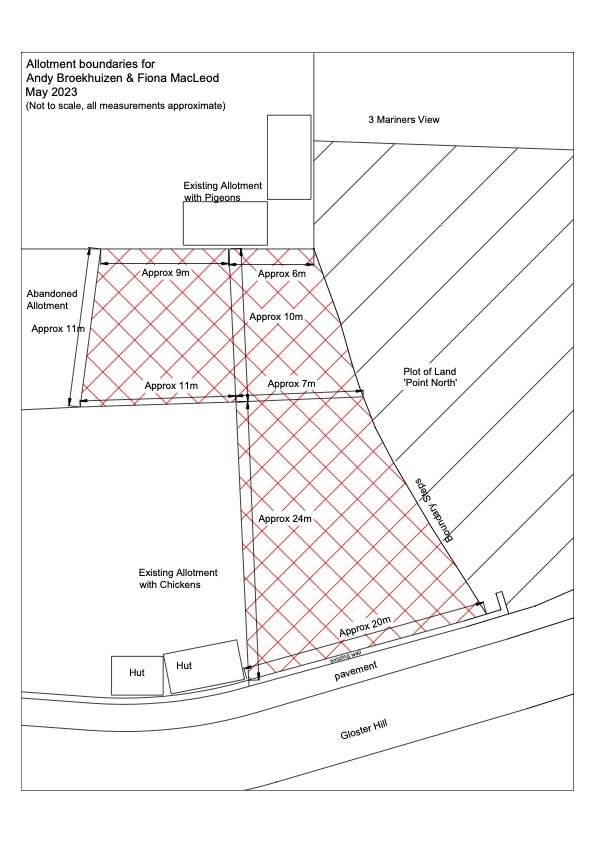
Along the east side of the plot of land are some allotments, most of which are unmaintained, and contain a lot of rubbish, currently the plans show that our “boundary” is very close to these allotments which isn’t perfect as may make the east side a little closed in.
Upon Investigation, it appeared that there was a couple of meters of “no mans” land between our land and the allotments so we decided to have a chat with Amble Town Council about maintaining it.

From that initial discussion and lots of conversations with Amble Mayor and Vice Mayor we’ve taken an agreement to “lease” at a pepper corn rent not just the few meters but the allotments which run alongside our land. Obviously we can’t build on this land but it will allow us to plant trees, and maintain a pleasant boundary to the east.
The only problem is that it needs a lot of clearance and disposal – this is part of the agreement, that we pay to clear it in exchange for a pepper corn rent.



We’ve used a fantastic local company to do the heavy lifting MJP Clearances. a comparison above.






Leave a comment